Obsah
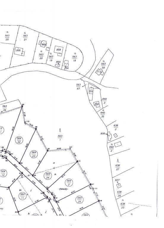
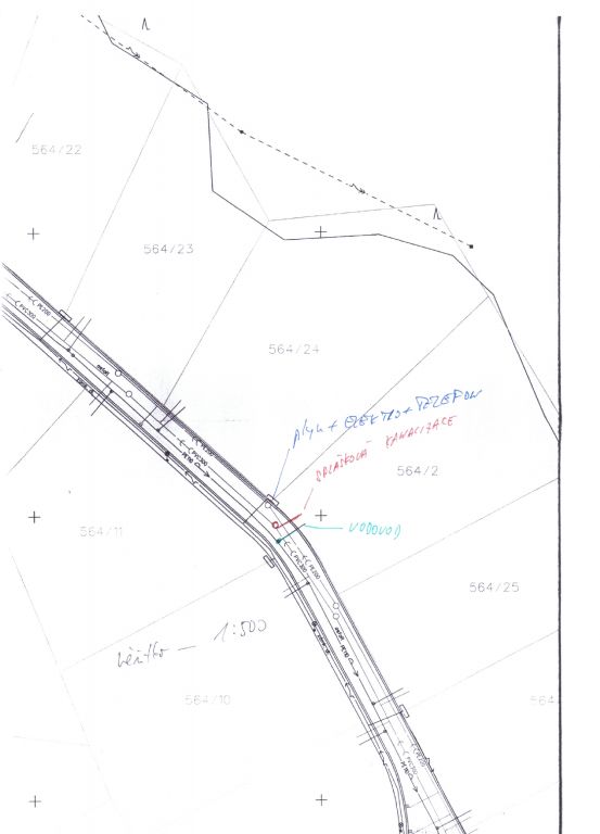
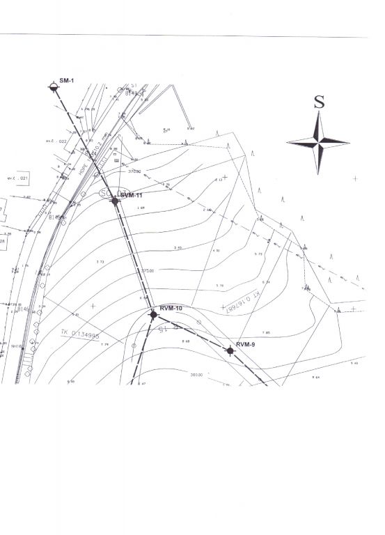
Zasíťování 30 pozemků Na Ježově
Zasíťování 30 pozemků Na Ježově
Zasíťování 30 obecních pozemků Ježově
- výkup pozemků, parcelace, kompletní výstavba inženýrských sítí pro 30 RD v lokalitě Na Ježově, prodej pozemků
- plyn, voda, kanalizace, telefon, veřejné osvětlení, asfaltová komunikace, dlážděné chodníky, dopravní značení
- na původních 3,5 ha vzniklo 30 stavebních pozemků od 800 - 3000 m2
- realizováno 2000 - 2005
- program Ministerstva pro místní rozvoj ČR - Podpora výstavby technické infastruktury
- celkové náklady 15 mil. Kč
- generální zhotovitel firma Ing. Pavel Pelán
- viz také souhrnná tabulka projektů
Vytvořeno: 5. 12. 2012
Poslední aktualizace: 5. 12. 2012 11:12
Poslední aktualizace: 5. 12. 2012 11:12
Autor:




